
Cuộc sống hiện tại của nam diễn viên phim Tử Chiến Trên Không khiến nhiều người ngưỡng mộ. Thái Hòa là cái tên đang…

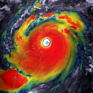
Siêu bão số 9 Ragasa vẫn di chuyển rất ổn định, liên tục giữ tốc độ 20-25km/h trong nhiều giờ qua, cường độ…

Áp thấp mới hình thành tối 21.9 bên ngoài khu vực dự báo của Philippines trong bối cảnh siêu bão Ragasa đang càn quét…

Áp thấp mới hình thành tối 21.9 bên ngoài khu vực dự báo của Philippines trong bối cảnh siêu bão Ragasa đang càn quét…

Sáng 21/9, tại khu phố 6, phường Quảng Phú (Tỉnh Thanh Hóa) xảy ra vụ việc nghi do mâu thuẫn gia đình khiến…

Đây là cơn bão có cường độ rất mạnh, di chuyển nhanh nên các hình thái thiên tai hoàn toàn có thể xảy…

Đây là cơn bão có cường độ rất mạnh, di chuyển nhanh nên các hình thái thiên tai hoàn toàn có thể xảy…

Theo thông tin từ Trung tâm dự báo Khí tượng Thủy văn Quốc gia, vào 13h chiều nay (22/9), tâm siêu bão Ragasa…